

¸»Á¤º¸ > °³º°¸»Á¤º¸Á¶È¸ > °³Ã¼½Äº°
![]() |
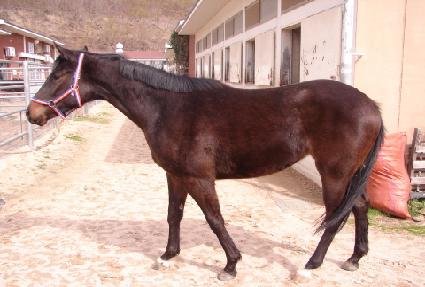
¸¶¹ø | 0027859 | ||
|---|---|---|---|---|
| ¸¶¸í | À¯¼ºÈ÷¾î·Î | |||
| »ý»ê±¹ | Çѱ¹ | |||
| Ãâ»ýÀÏ | 2010-03-12 | |||
| ¼ºº°/Åлö | ¾Ï / Èæ°¥»ö | |||
| Ç÷Åëµî·ÏÀÏ | 2011-04-30 | |||
| »ý»êÀÚ | ±ÇÀÚ¼ö (104178) | |||
| ¼ÒÀ¯ÀÚ | ||||
| ¼ÒÀçÁö | () | |||
| °¡°è | ºÎ¸¶ | ºñÄ« (USA) 1996 | Á¶ºÎ | WILD AGAIN |
| ¸ð¸¶ | ¿£Á©ÆÄƼ (USA) 2003 | ¿ÜÁ¶ºÎ | ELUSIVE QUALITY | |
| Ư¡ | ¸Ó¸® | À̸¶°¡¸¶2(»ç¼±) | ||
| ¸ñ | Á¿ì¸ñ¹Ø°¡¸¶,±ä¸ñÁÙ°¡¸¶ | |||
| ´Ù¸® | Á¿ì¾Õ´Ù¸®°¡¸¶,Á¿ìµÞ´Ù¸®°¡¸¶,¿ìÀü¹é,ÁÂÈĹé | |||
| ¸öÅë | ||||
| ±âŸ | ||||
| ³«ÀÎ | ||||
| Ĩ | 410-0978-0001-5367 | |||
