

¸»Á¤º¸ > °³º°¸»Á¤º¸Á¶È¸ > °³Ã¼½Äº°
![]() |
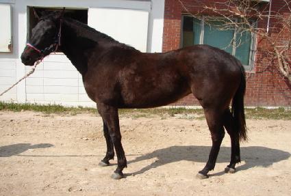
¸¶¹ø | 0028267 | ||
|---|---|---|---|---|
| ¸¶¸í | ±×·¹ÀÌÆ®ÇÏÆ® | |||
| »ý»ê±¹ | Çѱ¹ | |||
| Ãâ»ýÀÏ | 2010-02-26 | |||
| ¼ºº°/Åлö | ¾Ï / °¥»ö | |||
| Ç÷Åëµî·ÏÀÏ | 2011-04-30 | |||
| »ý»êÀÚ | ¹Ú¼¼¿ë (065068) | |||
| ¼ÒÀ¯ÀÚ | ||||
| ¼ÒÀçÁö | () | |||
| °¡°è | ºÎ¸¶ | ÄÁ¼ÁÆ®À© (USA) 1990 | Á¶ºÎ | MANILA |
| ¸ð¸¶ | ¿¡¹öÇÏÀ̾î (USA) 1997 | ¿ÜÁ¶ºÎ | MAKHRAJ | |
| Ư¡ | ¸Ó¸® | À̸¶°¡¸¶Áß | ||
| ¸ñ | ¿ì¸ñ¹Ø°¡¸¶ | |||
| ´Ù¸® | ||||
| ¸öÅë | ||||
| ±âŸ | ||||
| ³«ÀÎ | ||||
| Ĩ | 410-0900-6001-7376 | |||
