

¸»Á¤º¸ > °³º°¸»Á¤º¸Á¶È¸ > °³Ã¼½Äº°
![]() |
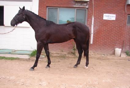
¸¶¹ø | 0028424 | ||
|---|---|---|---|---|
| ¸¶¸í | Àåõ | |||
| »ý»ê±¹ | Çѱ¹ | |||
| Ãâ»ýÀÏ | 2010-03-09 | |||
| ¼ºº°/Åлö | ¼ö / Èæ°¥»ö | |||
| Ç÷Åëµî·ÏÀÏ | 2011-04-30 | |||
| »ý»êÀÚ | À±º¸½Ä (104058) | |||
| ¼ÒÀ¯ÀÚ | ||||
| ¼ÒÀçÁö | () | |||
| °¡°è | ºÎ¸¶ | ¾ß½Ã¸¶ÀúÆÒ (USA) 1994 | Á¶ºÎ | FORTY NINER |
| ¸ð¸¶ | ¾ÆÀ̾ð¹Ùµð (USA) 2001 | ¿ÜÁ¶ºÎ | DR. CATON | |
| Ư¡ | ¸Ó¸® | À̸¶°¡¸¶Áß,À¯¼º,ºñ·®¼¼¹é,ºñ¹é,»ó¼ø»õÄ¡ | ||
| ¸ñ | ||||
| ´Ù¸® | ÁÂÈĹé,Á¿ìµÞ´Ù¸®°¡¸¶ | |||
| ¸öÅë | ¸öÅë»õÄ¡ | |||
| ±âŸ | ||||
| ³«ÀÎ | ||||
| Ĩ | 410-0900-6001-8184 | |||
