

¸»Á¤º¸ > °³º°¸»Á¤º¸Á¶È¸ > °³Ã¼½Äº°
![]() |
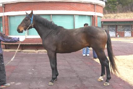
¸¶¹ø | 0028750 | ||
|---|---|---|---|---|
| ¸¶¸í | °Ç³ÇàÁø | |||
| »ý»ê±¹ | Çѱ¹ | |||
| Ãâ»ýÀÏ | 2010-04-08 | |||
| ¼ºº°/Åлö | °Å / °¥»ö | |||
| Ç÷Åëµî·ÏÀÏ | 2011-05-31 | |||
| »ý»êÀÚ | Á¦ÁÖÃà»ê°³¹ß (030013) | |||
| ¼ÒÀ¯ÀÚ | ||||
| ¼ÒÀçÁö | () | |||
| °¡°è | ºÎ¸¶ | ´õ±×·ëÀÌÁî·¹µå (USA) 1996 | Á¶ºÎ | RUNAWAY GROOM |
| ¸ð¸¶ | ÇÙ½ÉÀü·Â (KOR) 2003 | ¿ÜÁ¶ºÎ | Å©¸¯Ä¹ | |
| Ư¡ | ¸Ó¸® | À̸¶°¡¸¶Áß,À̸¶»õÄ¡ | ||
| ¸ñ | ±ä¸ñÁÙ°¡¸¶ | |||
| ´Ù¸® | ÁÂÈļҹé,¿ìÈĹé | |||
| ¸öÅë | ||||
| ±âŸ | ||||
| ³«ÀÎ | ||||
| Ĩ | 410-0900-6001-8806 | |||
