

¸»Á¤º¸ > °³º°¸»Á¤º¸Á¶È¸ > °³Ã¼½Äº°
![]() |
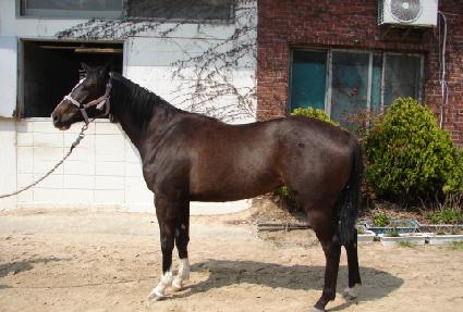
¸¶¹ø | 0028924 | ||
|---|---|---|---|---|
| ¸¶¸í | ±Ý°ü´ë·Î | |||
| »ý»ê±¹ | Çѱ¹ | |||
| Ãâ»ýÀÏ | 2010-03-13 | |||
| ¼ºº°/Åлö | ¾Ï / °¥»ö | |||
| Ç÷Åëµî·ÏÀÏ | 2011-04-30 | |||
| »ý»êÀÚ | ȫżö (065059) | |||
| ¼ÒÀ¯ÀÚ | ||||
| ¼ÒÀçÁö | () | |||
| °¡°è | ºÎ¸¶ | ºñ¿Í½Å¼¼ÀÌŰ (JPN) 1998 | Á¶ºÎ | FORTY NINER |
| ¸ð¸¶ | ¸±¸®ºñ°ï (USA) 2003 | ¿ÜÁ¶ºÎ | SNUCK IN | |
| Ư¡ | ¸Ó¸® | À̸¶°¡¸¶»ó,³À¯¼º,ºñ·®¹é,ºñ·®´ë¹é,ºñ´ë¹é,»ó¼ø¼Ò¹é,Çϼø´ë¹é | ||
| ¸ñ | ||||
| ´Ù¸® | ÁÂÀüÀå¹é,¿ìÀüÀå¹é,¿ìÈĹé,Á¿ì¾Õ´Ù¸®°¡¸¶ | |||
| ¸öÅë | Àü½Å»õÄ¡(ȸ»öÈ ÁøÇàÁß) | |||
| ±âŸ | ||||
| ³«ÀÎ | ||||
| Ĩ | 410-0900-6001-6176 | |||
