

¸»Á¤º¸ > °³º°¸»Á¤º¸Á¶È¸ > °³Ã¼½Äº°
![]() |
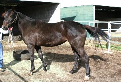
¸¶¹ø | 0029282 | ||
|---|---|---|---|---|
| ¸¶¸í | Àϵî¹Ì¼Ò | |||
| »ý»ê±¹ | ¹Ì±¹ | |||
| Ãâ»ýÀÏ | 2009-02-19 | |||
| ¼ºº°/Åлö | ¾Ï / Èæ°¥»ö | |||
| Ç÷Åëµî·ÏÀÏ | ||||
| »ý»êÀÚ | WinStar Farm LLC | |||
| ¼ÒÀ¯ÀÚ | ||||
| ¼ÒÀçÁö | () | |||
| °¡°è | ºÎ¸¶ | TIZNOW (USA) 1997 | Á¶ºÎ | CEE'S TIZZY |
| ¸ð¸¶ | UNCLAIMED CAT (USA) 2002 | ¿ÜÁ¶ºÎ | STORM CAT | |
| Ư¡ | ¸Ó¸® | À̸¶°¡¸¶2(°¡·Î),¼ÒÀ¯¼º,´Üºñ¹é | ||
| ¸ñ | ±ä¸ñÁÙ°¡¸¶,Á°¥±â°¡¸¶,¿ì°¥±â°¡¸¶2 | |||
| ´Ù¸® | ÁÂÀü¹é,ÁÂÈĹé | |||
| ¸öÅë | ||||
| ±âŸ | ||||
| ³«ÀÎ | ||||
| Ĩ | 410-0978-0001-6427 | |||
