

¸»Á¤º¸ > °³º°¸»Á¤º¸Á¶È¸ > °³Ã¼½Äº°
![]() |
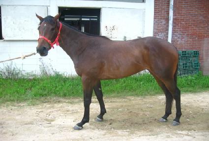
¸¶¹ø | 0031098 | ||
|---|---|---|---|---|
| ¸¶¸í | ¹éµÎ»ê¼º | |||
| »ý»ê±¹ | ¹Ì±¹ | |||
| Ãâ»ýÀÏ | 2010-05-19 | |||
| ¼ºº°/Åлö | ¾Ï / °¥»ö | |||
| Ç÷Åëµî·ÏÀÏ | ||||
| »ý»êÀÚ | Occidental Thoroughbreds | |||
| ¼ÒÀ¯ÀÚ | ||||
| ¼ÒÀçÁö | () | |||
| °¡°è | ºÎ¸¶ | DIXIE UNION (USA) 1997 | Á¶ºÎ | DIXIELAND BAND |
| ¸ð¸¶ | DEPUTY DOLLY (USA) 2001 | ¿ÜÁ¶ºÎ | DEPUTY COMMANDER | |
| Ư¡ | ¸Ó¸® | À̸¶°¡¸¶2(°¡·Î),¼ÒÀ¯¼º | ||
| ¸ñ | Á¿찥±â°¡¸¶,Á¿ì¸ñ¹Ø°¡¸¶ | |||
| ´Ù¸® | ||||
| ¸öÅë | ||||
| ±âŸ | ||||
| ³«ÀÎ | ||||
| Ĩ | 410-0978-0004-5476 | |||
