

¸»Á¤º¸ > °³º°¸»Á¤º¸Á¶È¸ > °³Ã¼½Äº°
![]() |
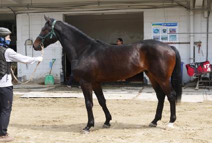
¸¶¹ø | 0036946 | ||
|---|---|---|---|---|
| ¸¶¸í | ½ºÇǵåȲ·æ | |||
| »ý»ê±¹ | Çѱ¹ | |||
| Ãâ»ýÀÏ | 2015-03-22 | |||
| ¼ºº°/Åлö | °Å / °¥»ö | |||
| Ç÷Åëµî·ÏÀÏ | 2016-02-05 | |||
| »ý»êÀÚ | (ÁÖ)³ì¿ø¸ñÀå (106204) | |||
| ¼ÒÀ¯ÀÚ | Á¶¹Î¼ö (216213) | |||
| ¼ÒÀçÁö | Æ÷´ÏÆÊ (0F3116) | |||
| °¡°è | ºÎ¸¶ | Å×½ºÅ¸¸¶Å¸ (USA) 2006 | Á¶ºÎ | TAPIT |
| ¸ð¸¶ | ³ëºíº¼Æ® (USA) 2009 | ¿ÜÁ¶ºÎ | NOBLE CAUSEWAY | |
| Ư¡ | ¸Ó¸® | À̸¶°¡¸¶Áß, ¼º | ||
| ¸ñ | ¸ñÁÙ°¡¸¶, ¿ì°¥±â°¡¸¶ | |||
| ´Ù¸® | Á¾մٸ®°¡¸¶ / ¿ì¾Õ´Ù¸®°¡¸¶ / ÁÂÈĹé | |||
| ¸öÅë | ||||
| ±âŸ | ||||
| ³«ÀÎ | ||||
| Ĩ | 410-1000-1229-5043 | |||
