

¸»Á¤º¸ > °³º°¸»Á¤º¸Á¶È¸ > °³Ã¼½Äº°
![]() |
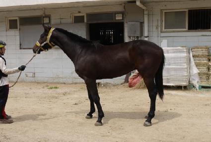
¸¶¹ø | 0037583 | ||
|---|---|---|---|---|
| ¸¶¸í | ¹éµÎÀÇÁ¤»ó | |||
| »ý»ê±¹ | Çѱ¹ | |||
| Ãâ»ýÀÏ | 2015-05-14 | |||
| ¼ºº°/Åлö | °Å / °¥»ö | |||
| Ç÷Åëµî·ÏÀÏ | 2016-02-05 | |||
| »ý»êÀÚ | (ÁÖ)ÄÚ¸®¾ÆÈ£½º·£µå (065134) | |||
| ¼ÒÀ¯ÀÚ | ÀÌ¿Á°æ (216205) | |||
| ¼ÒÀçÁö | ±×·£µå½Â¸¶Àå (0F1167) | |||
| °¡°è | ºÎ¸¶ | ·ÏÇϵåÅÙ (USA) 2001 | Á¶ºÎ | KRIS S. |
| ¸ð¸¶ | Çã´ÏÄÉÀͽº (USA) 1998 | ¿ÜÁ¶ºÎ | HENNESSY | |
| Ư¡ | ¸Ó¸® | À̸¶°¡¸¶Áß,¼Ò¼º | ||
| ¸ñ | ±ä¸ñÁÙ°¡¸¶ | |||
| ´Ù¸® | Á¾մٸ®°¡¸¶ / ¿ìÈļҹé | |||
| ¸öÅë | ||||
| ±âŸ | ||||
| ³«ÀÎ | ||||
| Ĩ | 410-0998-0000-3883 | |||
