

¸»Á¤º¸ > °³º°¸»Á¤º¸Á¶È¸ > °³Ã¼½Äº°
![]() |
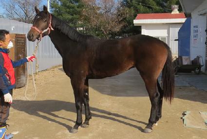
¸¶¹ø | 0039322 | ||
|---|---|---|---|---|
| ¸¶¸í | ¸®½¼Æ®µå¸² | |||
| »ý»ê±¹ | Çѱ¹ | |||
| Ãâ»ýÀÏ | 2016-05-19 | |||
| ¼ºº°/Åлö | ¾Ï / °¥»ö | |||
| Ç÷Åëµî·ÏÀÏ | 2017-01-07 | |||
| »ý»êÀÚ | ÀÌ»ó¿µ (106277) | |||
| ¼ÒÀ¯ÀÚ | ||||
| ¼ÒÀçÁö | () | |||
| °¡°è | ºÎ¸¶ | Ä÷¯ÁîÇöóÀ× (USA) 2006 | Á¶ºÎ | A.P. INDY |
| ¸ð¸¶ | ¸®½¼Æ®ÇÏÀÌ (KOR) 2009 | ¿ÜÁ¶ºÎ | ¿¢½ºÇ÷ÎÀÕ | |
| Ư¡ | ¸Ó¸® | À̸¶°¡¸¶2(¼¼·Î),¼Ò¼º | ||
| ¸ñ | ¿ì°¥±â°¡¸¶ | |||
| ´Ù¸® | ÁÂÀü¹Ý¹é / ÁÂÈļҹé / ¿ìÈĹݹé | |||
| ¸öÅë | ||||
| ±âŸ | ||||
| ³«ÀÎ | ||||
| Ĩ | 410-0998-0000-6069 | |||
