

¸»Á¤º¸ > °³º°¸»Á¤º¸Á¶È¸ > °³Ã¼½Äº°
![]() |
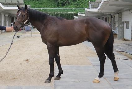
¸¶¹ø | 0040418 | ||
|---|---|---|---|---|
| ¸¶¸í | ´ÙÀ̾ƺ°ºû | |||
| »ý»ê±¹ | Çѱ¹ | |||
| Ãâ»ýÀÏ | 2017-03-01 | |||
| ¼ºº°/Åлö | °Å / °¥»ö | |||
| Ç÷Åëµî·ÏÀÏ | 2018-01-31 | |||
| »ý»êÀÚ | ÀåÁ¤±â (109286) | |||
| ¼ÒÀ¯ÀÚ | ||||
| ¼ÒÀçÁö | () | |||
| °¡°è | ºÎ¸¶ | Æ÷¸®½ºÆ®Ä·ÇÁ (USA) 1997 | Á¶ºÎ | DEPUTY MINISTER |
| ¸ð¸¶ | º°ºû¼Ò¸® (USA) 2009 | ¿ÜÁ¶ºÎ | LANGFUHR | |
| Ư¡ | ¸Ó¸® | À̸¶°¡¸¶»ó, ´ëÀ¯¼º, ºñ·®¹é, ´Üºñ¼Ò¹é | ||
| ¸ñ | ¿ì°¥±â°¡¸¶, ±ä¸ñÁÙ°¡¸¶ | |||
| ´Ù¸® | Á¾մٸ®°¡¸¶ / ¿ì¾Õ´Ù¸®°¡¸¶ / ÁÂÈĹé / ¿ìÈĹé | |||
| ¸öÅë | ||||
| ±âŸ | ||||
| ³«ÀÎ | ||||
| Ĩ | 410-0998-0000-1050 | |||
