

¸»Á¤º¸ > °³º°¸»Á¤º¸Á¶È¸ > °³Ã¼½Äº°
![]() |
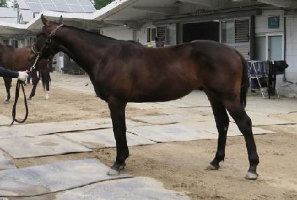
¸¶¹ø | 0040605 | ||
|---|---|---|---|---|
| ¸¶¸í | ¶ó¿Â¶óÀÌÆ®¸Ç | |||
| »ý»ê±¹ | Çѱ¹ | |||
| Ãâ»ýÀÏ | 2017-03-01 | |||
| ¼ºº°/Åлö | °Å / °¥»ö | |||
| Ç÷Åëµî·ÏÀÏ | 2018-01-31 | |||
| »ý»êÀÚ | ³ó¾÷ȸ»ç¹ýÀÎ(ÁÖ)Æ®¸®ÇÃÅ©¶ó¿îÆÊ (214802) | |||
| ¼ÒÀ¯ÀÚ | ||||
| ¼ÒÀçÁö | () | |||
| °¡°è | ºÎ¸¶ | ¸Ó½ºÅ¶¸Ç (USA) 2006 | Á¶ºÎ | YONAGUSKA |
| ¸ð¸¶ | ½Ã´õ½Ã (USA) 2005 | ¿ÜÁ¶ºÎ | SMART STRIKE | |
| Ư¡ | ¸Ó¸® | À̸¶°¡¸¶Áß,À¯¼º,ºñ·®¹é | ||
| ¸ñ | ¸ñÁÙ°¡¸¶ | |||
| ´Ù¸® | Á¾մٸ®°¡¸¶ / ¿ì¾Õ´Ù¸®°¡¸¶ / Áµ޴ٸ®°¡¸¶ / ¿ìµÞ´Ù¸®°¡¸¶ | |||
| ¸öÅë | ||||
| ±âŸ | ||||
| ³«ÀÎ | ||||
| Ĩ | 410-0998-0001-0414 | |||
