

¸»Á¤º¸ > °³º°¸»Á¤º¸Á¶È¸ > °³Ã¼½Äº°
![]() |
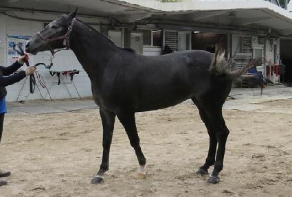
¸¶¹ø | 0041506 | ||
|---|---|---|---|---|
| ¸¶¸í | ¿À¹ö¾îÄ¡ºê | |||
| »ý»ê±¹ | Çѱ¹ | |||
| Ãâ»ýÀÏ | 2017-03-09 | |||
| ¼ºº°/Åлö | ¾Ï / ȸ»ö | |||
| Ç÷Åëµî·ÏÀÏ | 2018-01-31 | |||
| »ý»êÀÚ | ÀÌÁ¾Áø (110144) | |||
| ¼ÒÀ¯ÀÚ | °Åà (110161) | |||
| ¼ÒÀçÁö | TK½Â¸¶¼¾ÅÍ (0F3333) | |||
| °¡°è | ºÎ¸¶ | ½ºÆ®¶óÀÌÅ©¾î°ÔÀÎ (USA) 2006 | Á¶ºÎ | DIXIE UNION |
| ¸ð¸¶ | ½Â½ÂÄè°É (KOR) 2012 | ¿ÜÁ¶ºÎ | MIDSHIPMAN | |
| Ư¡ | ¸Ó¸® | ³À¯¼º, À̸¶°¡¸¶Áß, | ||
| ¸ñ | ||||
| ´Ù¸® | ÁÂÀü¹é,Á¾մٸ®°¡¸¶ / ¿ìÀü¼Ò¹é, / ÁÂÈĹݹé | |||
| ¸öÅë | ||||
| ±âŸ | ||||
| ³«ÀÎ | ||||
| Ĩ | 410-0998-0001-0872 | |||
