

¸»Á¤º¸ > °³º°¸»Á¤º¸Á¶È¸ > °³Ã¼½Äº°
![]() |
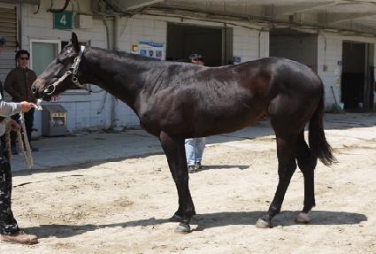
¸¶¹ø | 0041597 | ||
|---|---|---|---|---|
| ¸¶¸í | ³²Ã̵¥ÀÌ | |||
| »ý»ê±¹ | ¹Ì±¹ | |||
| Ãâ»ýÀÏ | 2016-03-10 | |||
| ¼ºº°/Åлö | °Å / °¥»ö | |||
| Ç÷Åëµî·ÏÀÏ | ||||
| »ý»êÀÚ | Jack R. Frost | |||
| ¼ÒÀ¯ÀÚ | ||||
| ¼ÒÀçÁö | () | |||
| °¡°è | ºÎ¸¶ | ITSMYLUCKYDAY (USA) 2010 | Á¶ºÎ | LAWYER RON |
| ¸ð¸¶ | CLEVER GRETEL (USA) 2010 | ¿ÜÁ¶ºÎ | BLUEGRASS CAT | |
| Ư¡ | ¸Ó¸® | À̸¶°¡¸¶2(°¡·Î) | ||
| ¸ñ | Á°¥±â°¡¸¶,¿ì°¥±â°¡¸¶,¸ñÁÙ°¡¸¶ | |||
| ´Ù¸® | Á¾մٸ®°¡¸¶ / ¿ì¾Õ´Ù¸®°¡¸¶ / ¿ìÈĹé | |||
| ¸öÅë | ||||
| ±âŸ | ||||
| ³«ÀÎ | ||||
| Ĩ | 981-0200-1918-5415 | |||
