

¸»Á¤º¸ > °³º°¸»Á¤º¸Á¶È¸ > °³Ã¼½Äº°
![]() |
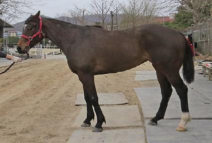
¸¶¹ø | 0042119 | ||
|---|---|---|---|---|
| ¸¶¸í | ½Ã¼±ÁÖ¸¶ | |||
| »ý»ê±¹ | Çѱ¹ | |||
| Ãâ»ýÀÏ | 2018-05-31 | |||
| ¼ºº°/Åлö | ¾Ï / °¥»ö | |||
| Ç÷Åëµî·ÏÀÏ | 2018-12-22 | |||
| »ý»êÀÚ | ±ÇÀÚ¼ö (104178) | |||
| ¼ÒÀ¯ÀÚ | ||||
| ¼ÒÀçÁö | () | |||
| °¡°è | ºÎ¸¶ | ¿ÀÇǼ (USA) 1999 | Á¶ºÎ | BERTRANDO |
| ¸ð¸¶ | ´ç´ë¿©¿Õ (AUS) 2004 | ¿ÜÁ¶ºÎ | BELONG TO ME | |
| Ư¡ | ¸Ó¸® | À̸¶°¡¸¶Áß,¼º | ||
| ¸ñ | Á¿찥±â°¡¸¶,¸ñ¹Ø°¡¸¶ | |||
| ´Ù¸® | ÁÂÈÄÀå¹é | |||
| ¸öÅë | ¿ìº¼±â°¡¸¶ | |||
| ±âŸ | ||||
| ³«ÀÎ | ||||
| Ĩ | 410-0998-0001-2774 | |||
