

¸»Á¤º¸ > °³º°¸»Á¤º¸Á¶È¸ > °³Ã¼½Äº°
![]() |
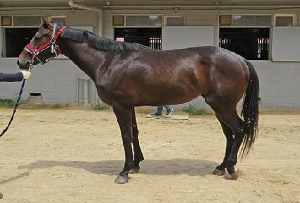
¸¶¹ø | 0042409 | ||
|---|---|---|---|---|
| ¸¶¸í | ½ºÅ¸ºí·¹À̵å | |||
| »ý»ê±¹ | Çѱ¹ | |||
| Ãâ»ýÀÏ | 2018-03-06 | |||
| ¼ºº°/Åлö | °Å / °¥»ö | |||
| Ç÷Åëµî·ÏÀÏ | 2018-12-22 | |||
| »ý»êÀÚ | Á¤¼º¿µ³óÁ¶ÇÕ¹ýÀÎ (201366) | |||
| ¼ÒÀ¯ÀÚ | ||||
| ¼ÒÀçÁö | () | |||
| °¡°è | ºÎ¸¶ | ¿ÀÇǼ (USA) 1999 | Á¶ºÎ | BERTRANDO |
| ¸ð¸¶ | ¸¶À̽ºÅ¸ÀÏ (KOR) 2011 | ¿ÜÁ¶ºÎ | µðµð¹Ì | |
| Ư¡ | ¸Ó¸® | À̸¶°¡¸¶2(°¡·Î) | ||
| ¸ñ | ¿ì°¥±â°¡¸¶, ±ä¸ñÁÙ°¡¸¶ | |||
| ´Ù¸® | ÁÂÈĹݹé | |||
| ¸öÅë | ||||
| ±âŸ | ||||
| ³«ÀÎ | ||||
| Ĩ | 410-0998-0001-3783 | |||
