

¸»Á¤º¸ > °³º°¸»Á¤º¸Á¶È¸ > °³Ã¼½Äº°
![]() |
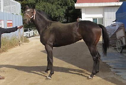
¸¶¹ø | 0043018 | ||
|---|---|---|---|---|
| ¸¶¸í | ¹Ù¶÷Ÿ°í | |||
| »ý»ê±¹ | Çѱ¹ | |||
| Ãâ»ýÀÏ | 2018-04-17 | |||
| ¼ºº°/Åлö | ¾Ï / °¥»ö | |||
| Ç÷Åëµî·ÏÀÏ | 2018-12-22 | |||
| »ý»êÀÚ | ±èÁ¾½Ä (065067) | |||
| ¼ÒÀ¯ÀÚ | ||||
| ¼ÒÀçÁö | () | |||
| °¡°è | ºÎ¸¶ | Ä¿³ÎÁ¸ (USA) 2005 | Á¶ºÎ | TIZNOW |
| ¸ð¸¶ | ½ºÀ§Æ®¼¶¸ÓŸÀÓ (USA) 2006 | ¿ÜÁ¶ºÎ | SOTO | |
| Ư¡ | ¸Ó¸® | À¯¼º, À̸¶°¡¸¶2(°¡·Î) | ||
| ¸ñ | ÁÂ/¿ì°¥±â°¡¸¶ | |||
| ´Ù¸® | ÁÂÈļҹé | |||
| ¸öÅë | ||||
| ±âŸ | ||||
| ³«ÀÎ | ||||
| Ĩ | 410-0998-0001-4446 | |||
