

¸»Á¤º¸ > °³º°¸»Á¤º¸Á¶È¸ > °³Ã¼½Äº°
![]() |
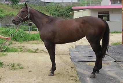
¸¶¹ø | 0043434 | ||
|---|---|---|---|---|
| ¸¶¸í | ´Ù¿ïÄý | |||
| »ý»ê±¹ | Çѱ¹ | |||
| Ãâ»ýÀÏ | 2018-04-05 | |||
| ¼ºº°/Åлö | ¾Ï / °¥»ö | |||
| Ç÷Åëµî·ÏÀÏ | 2019-03-20 | |||
| »ý»êÀÚ | ÀÓ¼Ò¿¬ (109647) | |||
| ¼ÒÀ¯ÀÚ | ||||
| ¼ÒÀçÁö | () | |||
| °¡°è | ºÎ¸¶ | Ä÷¯ÁîÇöóÀ× (USA) 2006 | Á¶ºÎ | A.P. INDY |
| ¸ð¸¶ | ±Û·Î¸®¾î½ºµ· (USA) 2003 | ¿ÜÁ¶ºÎ | ELUSIVE QUALITY | |
| Ư¡ | ¸Ó¸® | À̸¶°¡¸¶ÇÏ,¼º | ||
| ¸ñ | ¿ì°¥±â°¡¸¶,¸ñ¹Ø°¡¸¶,Á¸ñ¹Ø°¡¸¶ | |||
| ´Ù¸® | Á¾մٸ®°¡¸¶ / Áµ޴ٸ®°¡¸¶ / ¿ìµÞ´Ù¸®°¡¸¶ | |||
| ¸öÅë | ||||
| ±âŸ | ||||
| ³«ÀÎ | ||||
| Ĩ | 410-0998-0001-4592 | |||
