

¸»Á¤º¸ > °³º°¸»Á¤º¸Á¶È¸ > °³Ã¼½Äº°
![]() |
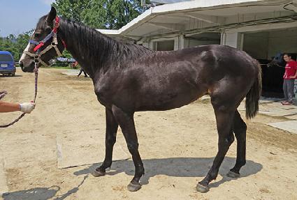
¸¶¹ø | 0044193 | ||
|---|---|---|---|---|
| ¸¶¸í | ³²ÃÌÀǰȣ | |||
| »ý»ê±¹ | Çѱ¹ | |||
| Ãâ»ýÀÏ | 2019-03-09 | |||
| ¼ºº°/Åлö | °Å / °¥»ö | |||
| Ç÷Åëµî·ÏÀÏ | 2019-08-22 | |||
| »ý»êÀÚ | Á¶µ¿½Ä (010482) | |||
| ¼ÒÀ¯ÀÚ | ||||
| ¼ÒÀçÁö | () | |||
| °¡°è | ºÎ¸¶ | Ä¿³ÎÁ¸ (USA) 2005 | Á¶ºÎ | TIZNOW |
| ¸ð¸¶ | ÆæÅ¸ÈúÁî (KOR) 2013 | ¿ÜÁ¶ºÎ | ¿¢½ºÇ÷ÎÀÕ | |
| Ư¡ | ¸Ó¸® | À̸¶°¡¸¶Áß, ´ëÀ¯¼º,ºñ·®´ë¹é, ºñ´ë¹é | ||
| ¸ñ | ||||
| ´Ù¸® | ||||
| ¸öÅë | ||||
| ±âŸ | ||||
| ³«ÀÎ | ||||
| Ĩ | 410-0998-0001-4849 | |||
