

¸»Á¤º¸ > °³º°¸»Á¤º¸Á¶È¸ > °³Ã¼½Äº°
![]() |
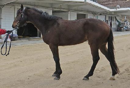
¸¶¹ø | 0044657 | ||
|---|---|---|---|---|
| ¸¶¸í | ¿ì°¥¶óÆÄ¿ö | |||
| »ý»ê±¹ | Çѱ¹ | |||
| Ãâ»ýÀÏ | 2019-05-10 | |||
| ¼ºº°/Åлö | °Å / °¥»ö | |||
| Ç÷Åëµî·ÏÀÏ | 2019-10-10 | |||
| »ý»êÀÚ | À±Èï¿ (010373) | |||
| ¼ÒÀ¯ÀÚ | ||||
| ¼ÒÀçÁö | () | |||
| °¡°è | ºÎ¸¶ | À©Ã¼½ºÅÍ (USA) 2005 | Á¶ºÎ | THEATRICAL |
| ¸ð¸¶ | ¿ì°¥¶ó (USA) 1999 | ¿ÜÁ¶ºÎ | RAHY | |
| Ư¡ | ¸Ó¸® | À̸¶°¡¸¶Áß, À¯¼º | ||
| ¸ñ | ±ä¸ñÁÙ°¡¸¶ | |||
| ´Ù¸® | ¿ìÈĹé | |||
| ¸öÅë | ||||
| ±âŸ | ||||
| ³«ÀÎ | ||||
| Ĩ | 410-0998-0001-6659 | |||
