

¸»Á¤º¸ > °³º°¸»Á¤º¸Á¶È¸ > °³Ã¼½Äº°
![]() |
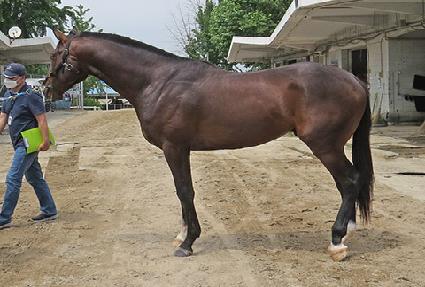
¸¶¹ø | 0045122 | ||
|---|---|---|---|---|
| ¸¶¸í | ½Ã¸®¿ì½º¿¡ÀÌ | |||
| »ý»ê±¹ | ¹Ì±¹ | |||
| Ãâ»ýÀÏ | 2018-01-31 | |||
| ¼ºº°/Åлö | °Å / °¥»ö | |||
| Ç÷Åëµî·ÏÀÏ | ||||
| »ý»êÀÚ | Kathie Maybee & Rose Creek Farm | |||
| ¼ÒÀ¯ÀÚ | ³ó¾÷ȸ»ç¹ýÀÎ ÁÖ½Äȸ»ç ¼Û¶óÆÊ (217475) | |||
| ¼ÒÀçÁö | ÀϹݼÒÀçÁö(³»·ú) (0B0002) | |||
| °¡°è | ºÎ¸¶ | MALIBU MOON (USA) 1997 | Á¶ºÎ | A.P. INDY |
| ¸ð¸¶ | HONEST CAUSE (USA) 2005 | ¿ÜÁ¶ºÎ | GIANT'S CAUSEWAY | |
| Ư¡ | ¸Ó¸® | À̸¶°¡¸¶»ó,´ëÀ¯¼º,ºñ·®¼¼¹é,ºñ¼Ò¹é | ||
| ¸ñ | ¿ì°¥±â°¡¸¶,¸ñ¹Ø°¡¸¶,¸ñÁÙ°¡¸¶ | |||
| ´Ù¸® | / ¿ìÀü¹é / ÁÂÈĹé¿ìÈÄÀå¹é | |||
| ¸öÅë | ||||
| ±âŸ | ||||
| ³«ÀÎ | ||||
| Ĩ | 981-0200-2365-4250 | |||
