

¸»Á¤º¸ > °³º°¸»Á¤º¸Á¶È¸ > °³Ã¼½Äº°
![]() |
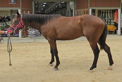
¸¶¹ø | 0045164 | ||
|---|---|---|---|---|
| ¸¶¸í | ÇØÁ¦¹Ýµµ | |||
| »ý»ê±¹ | Çѱ¹ | |||
| Ãâ»ýÀÏ | 2019-05-05 | |||
| ¼ºº°/Åлö | ¼ö / °¥»ö | |||
| Ç÷Åëµî·ÏÀÏ | 2020-05-18 | |||
| »ý»êÀÚ | ±è¼¼¹Î (065160) | |||
| ¼ÒÀ¯ÀÚ | ||||
| ¼ÒÀçÁö | () | |||
| °¡°è | ºÎ¸¶ | Å×½ºÅ¸¸¶Å¸ (USA) 2006 | Á¶ºÎ | TAPIT |
| ¸ð¸¶ | ÇÊ¿ÍÃ÷¸®¾ó (USA) 2008 | ¿ÜÁ¶ºÎ | DYNAFORMER | |
| Ư¡ | ¸Ó¸® | À̸¶°¡¸¶2(°¡·Î), À¯¼º | ||
| ¸ñ | ±ä¸ñÁÙ°¡¸¶ | |||
| ´Ù¸® | / ¿ìÀü¹Ý¹é / ÁÂÈĹé¿ìÈĹé | |||
| ¸öÅë | ||||
| ±âŸ | ||||
| ³«ÀÎ | ||||
| Ĩ | 410-0998-0001-7092 | |||
