

¸»Á¤º¸ > °³º°¸»Á¤º¸Á¶È¸ > °³Ã¼½Äº°
![]() |
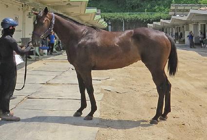
¸¶¹ø | 0045380 | ||
|---|---|---|---|---|
| ¸¶¸í | È÷¾î·ÎÄý | |||
| »ý»ê±¹ | Çѱ¹ | |||
| Ãâ»ýÀÏ | 2020-02-27 | |||
| ¼ºº°/Åлö | ¾Ï / °¥»ö | |||
| Ç÷Åëµî·ÏÀÏ | 2020-07-04 | |||
| »ý»êÀÚ | Á¦ÁÖÃà»ê°³¹ß (030013) | |||
| ¼ÒÀ¯ÀÚ | ¹Ì»ó (030068) | |||
| ¼ÒÀçÁö | ¹Ì»ó (0F3185) | |||
| °¡°è | ºÎ¸¶ | ¼±´õ¸ðÄ«½Å (USA) 2009 | Á¶ºÎ | A. P. WARRIOR |
| ¸ð¸¶ | ¶óÀ̺êÄý (KOR) 2004 | ¿ÜÁ¶ºÎ | ¸®ºñ¾î | |
| Ư¡ | ¸Ó¸® | À̸¶°¡¸¶2(°¡·Î), ¼ÒÀ¯¼º, ´Üºñ¹é | ||
| ¸ñ | ¿ì°¥±â°¡¸¶ | |||
| ´Ù¸® | ÁÂÀü¹Ý¹é, Á¾մٸ®°¡¸¶ / ¿ì¾Õ´Ù¸®°¡¸¶ / ¿ìÈļҹé | |||
| ¸öÅë | ||||
| ±âŸ | ||||
| ³«ÀÎ | ||||
| Ĩ | 410-0998-0001-7691 | |||
