

¸»Á¤º¸ > °³º°¸»Á¤º¸Á¶È¸ > °³Ã¼½Äº°
![]() |
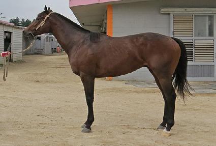
¸¶¹ø | 0045451 | ||
|---|---|---|---|---|
| ¸¶¸í | ·Îµå½ºÄ«ÀÌ | |||
| »ý»ê±¹ | ¹Ì±¹ | |||
| Ãâ»ýÀÏ | 2018-03-04 | |||
| ¼ºº°/Åлö | ¼ö / °¥»ö | |||
| Ç÷Åëµî·ÏÀÏ | ||||
| »ý»êÀÚ | Oxley, TCF Stallions et al & Mark R. Moran | |||
| ¼ÒÀ¯ÀÚ | ||||
| ¼ÒÀçÁö | () | |||
| °¡°è | ºÎ¸¶ | SKY MESA (USA) 2000 | Á¶ºÎ | PULPIT |
| ¸ð¸¶ | MUNHALL MISS (USA) 2010 | ¿ÜÁ¶ºÎ | NOTIONAL | |
| Ư¡ | ¸Ó¸® | À̸¶°¡¸¶»ó,¼ÒÀ¯¼º | ||
| ¸ñ | ±ä¸ñÁÙ°¡¸¶ | |||
| ´Ù¸® | Á¾մٸ®°¡¸¶ / ¿ì¾Õ´Ù¸®°¡¸¶ / ÁÂÈĹé | |||
| ¸öÅë | ||||
| ±âŸ | ||||
| ³«ÀÎ | ||||
| Ĩ | 981-0200-2365-7496 | |||
