

¸»Á¤º¸ > °³º°¸»Á¤º¸Á¶È¸ > °³Ã¼½Äº°
![]() |
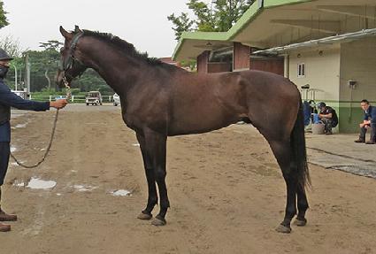
¸¶¹ø | 0046525 | ||
|---|---|---|---|---|
| ¸¶¸í | û°è±â»ó | |||
| »ý»ê±¹ | Çѱ¹ | |||
| Ãâ»ýÀÏ | 2020-03-14 | |||
| ¼ºº°/Åлö | ¼ö / °¥»ö | |||
| Ç÷Åëµî·ÏÀÏ | 2021-04-03 | |||
| »ý»êÀÚ | °ÈÆÇ¥ (065007) | |||
| ¼ÒÀ¯ÀÚ | (ÁÖ)¸»»ç¶û (201714) | |||
| ¼ÒÀçÁö | ºí·çȦ½º½Â¸¶¼¾ÅÍ (0F1105) | |||
| °¡°è | ºÎ¸¶ | À§µåµð½ºÆÃ¼Ç (USA) 2001 | Á¶ºÎ | STORM CAT |
| ¸ð¸¶ | ·¯ºêÅõ·¯ºê (USA) 2008 | ¿ÜÁ¶ºÎ | UNBRIDLED'S SONG | |
| Ư¡ | ¸Ó¸® | À̸¶°¡¸¶Áß, ¼ÒÀ¯¼º | ||
| ¸ñ | ±ä¸ñÁÙ°¡¸¶ | |||
| ´Ù¸® | / Áµ޴ٸ®°¡¸¶¿ìµÞ´Ù¸®°¡¸¶ | |||
| ¸öÅë | ||||
| ±âŸ | ||||
| ³«ÀÎ | ||||
| Ĩ | 410-0998-0001-9128 | |||
