

¸»Á¤º¸ > °³º°¸»Á¤º¸Á¶È¸ > °³Ã¼½Äº°
![]() |
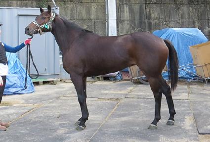
¸¶¹ø | 0046542 | ||
|---|---|---|---|---|
| ¸¶¸í | À̱ÛÄý | |||
| »ý»ê±¹ | Çѱ¹ | |||
| Ãâ»ýÀÏ | 2020-03-22 | |||
| ¼ºº°/Åлö | ¾Ï / °¥»ö | |||
| Ç÷Åëµî·ÏÀÏ | 2021-04-03 | |||
| »ý»êÀÚ | ±è¼±½Ä (106017) | |||
| ¼ÒÀ¯ÀÚ | ||||
| ¼ÒÀçÁö | () | |||
| °¡°è | ºÎ¸¶ | ¾Ö´Ï±âºì»õÅ͵¥ÀÌ (USA) 2004 | Á¶ºÎ | DISTORTED HUMOR |
| ¸ð¸¶ | ¼öȣõ»ç (KOR) 2008 | ¿ÜÁ¶ºÎ | ºñÄ« | |
| Ư¡ | ¸Ó¸® | À̸¶°¡¸¶Áß, À̸¶»õÄ¡ | ||
| ¸ñ | ¿ì°¥±â°¡¸¶ | |||
| ´Ù¸® | Áµ޴ٸ®°¡¸¶ | |||
| ¸öÅë | ||||
| ±âŸ | ||||
| ³«ÀÎ | ||||
| Ĩ | 410-0998-0001-9153 | |||
