

¸»Á¤º¸ > °³º°¸»Á¤º¸Á¶È¸ > °³Ã¼½Äº°
![]() |
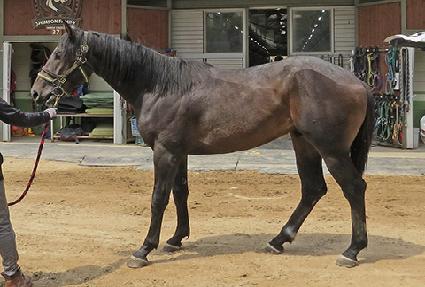
¸¶¹ø | 0047010 | ||
|---|---|---|---|---|
| ¸¶¸í | ³í½ºÅéÇ÷¹ÀÌ | |||
| »ý»ê±¹ | Çѱ¹ | |||
| Ãâ»ýÀÏ | 2021-03-25 | |||
| ¼ºº°/Åлö | ¼ö / °¥»ö | |||
| Ç÷Åëµî·ÏÀÏ | 2021-07-23 | |||
| »ý»êÀÚ | Á¤°æ¾Ö (104177) | |||
| ¼ÒÀ¯ÀÚ | (ÁÖ)½Å°¥½Â¸¶Å¬·´ (202156) | |||
| ¼ÒÀçÁö | ½Å°¥½Â¸¶Å¬·´ (0F0302) | |||
| °¡°è | ºÎ¸¶ | Æ÷¸®½ºÆ®Ä·ÇÁ (USA) 1997 | Á¶ºÎ | DEPUTY MINISTER |
| ¸ð¸¶ | ·¹µðÇ÷¹ÀÌ¾î¿ø (USA) 2011 | ¿ÜÁ¶ºÎ | MORE THAN READY | |
| Ư¡ | ¸Ó¸® | À̸¶°¡¸¶2(°¡·Î), ³À¯¼º | ||
| ¸ñ | ||||
| ´Ù¸® | Á¾մٸ®°¡¸¶ / Áµ޴ٸ®°¡¸¶ / ¿ìµÞ´Ù¸®°¡¸¶ | |||
| ¸öÅë | ||||
| ±âŸ | ||||
| ³«ÀÎ | ||||
| Ĩ | 410-0998-0001-8491 | |||
