

¸»Á¤º¸ > °³º°¸»Á¤º¸Á¶È¸ > ¸¶Àû»çÇ×
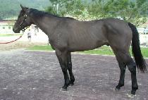
| ¸¶¸í | ³¡¾ø´ÂµµÀü (KKEUDEOMNEUNDOJEON) |
¸¶¹ø | 0016839 | ||
|---|---|---|---|---|---|
| ¸¶¸íºÎ¿©ÀÏ | 2004-08-27 | Ãâ»ýÀÏ | 2002-10-25 | ||
| ¼ºº° | ¼ö | Åлö | °¥»ö | ||
| ǰÁ¾ | ´õ·¯ºê·¿ | ±¹Á¦¸¶¹ø | AUS00843861 | ||
| »ý»ê±¹ | È£ÁÖ | ¼öÀÔ±¹ | È£ÁÖ | ||
| ÃÖÁ¾¿ëµµ | Æó»ç | ¿ø¸¶¸í | |||
| »ý»êÀÚ | Mr Rj Pearce | ¼ÒÀ¯ÀÚ | ¼ÒÀçÁö | ||
| Ç÷Åë¼ | Australian Stud Book Á¦41±Ç | ÆÐ½ºÆ÷Æ® | |||
| ¼öÀÔÀÏ | 2004-07-15 | °æÁÖ¸¶µî·Ï | 2004-08-27 ~ 2006-06-10 | ¹ø½Äµî·ÏÀÏ | |
| ºÎ¸¶¸í | AMERICAN ODYSSEY | »ý»ê±¹ | ¹Ì±¹ | »ý»ê³âµµ | 1995 |
| ¸ð¸¶¸í | SENSIBLE LADY | »ý»ê±¹ | È£ÁÖ | »ý»ê³âµµ | 1991 |
| °æÁÖ¼ºÀû | 19Àü(1/0/2/1/0) | ¼öµæ»ó±Ý | 16,028,300¿ø | ±º(µî±Þ) | ¿Ü3 |
| ¿Ü±¹°æÁÖ | ¹ÌÃâÀü | ¼öµæ»ó±Ý | ¿ì½Â°Å¸® | ||