

¸»Á¤º¸ > °³º°¸»Á¤º¸Á¶È¸ > ¸¶Àû»çÇ×
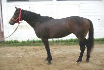
| ¸¶¸í | ¿ø´õÇ®½ºÆå (WONDERFUL SPEC) |
¸¶¹ø | 0023064 | ||
|---|---|---|---|---|---|
| ¸¶¸íºÎ¿©ÀÏ | 2009-05-01 | Ãâ»ýÀÏ | 2007-02-22 | ||
| ¼ºº° | °Å (2010-10-07) | Åлö | °¥»ö | ||
| ǰÁ¾ | ´õ·¯ºê·¿ | ±¹Á¦¸¶¹ø | KOR07123064 | ||
| »ý»ê±¹ | Çѱ¹ | ¼öÀÔ±¹ | |||
| ÃÖÁ¾¿ëµµ | Æó»ç | ¿ø¸¶¸í | |||
| »ý»êÀÚ | ÀÌÁ¾¿í(¼º¼ö¸ñÀå) | ¼ÒÀ¯ÀÚ | ¼ÒÀçÁö | ||
| Ç÷Åë¼ | Çѱ¹Ç÷Åë¼ Á¦4±Ç 154ÂÊ | ÆÐ½ºÆ÷Æ® | 2014-08-23 | ||
| Ç÷Åëµî·ÏÀÏ | 2008-08-22 | °æÁÖ¸¶µî·Ï | 2009-06-17 ~ 2011-11-30 | ¹ø½Äµî·ÏÀÏ | |
| ºÎ¸¶¸í | ¾çŰºòÅÍ | »ý»ê±¹ | ¹Ì±¹ | »ý»ê³âµµ | 1996 |
| ¸ð¸¶¸í | ¸®Ä¡À̸ð¼ÇÁî | »ý»ê±¹ | ¹Ì±¹ | »ý»ê³âµµ | 1997 |
| °æÁÖ¼ºÀû | 10Àü(4/2/1/1/0) | ¼öµæ»ó±Ý | 118,270,000¿ø | ±º(µî±Þ) | ±¹2 |
| ¿Ü±¹°æÁÖ | ¼öµæ»ó±Ý | ¿ì½Â°Å¸® | |||