

¸»Á¤º¸ > °³º°¸»Á¤º¸Á¶È¸ > ¸¶Àû»çÇ×
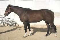
| ¸¶¸í | Àϼº´ë·Î (ILSEONGDAERO) |
¸¶¹ø | 0025677 | ||
|---|---|---|---|---|---|
| ¸¶¸íºÎ¿©ÀÏ | 2010-02-04 | Ãâ»ýÀÏ | 2007-11-14 | ||
| ¼ºº° | °Å (¼öÀÔÀÌÀü ÇöÁö°Å¼¼) | Åлö | °¥»ö | ||
| ǰÁ¾ | ´õ·¯ºê·¿ | ±¹Á¦¸¶¹ø | NZ00262895 | ||
| »ý»ê±¹ | ´ºÁú·£µå | ¼öÀÔ±¹ | ´ºÁú·£µå | ||
| ÃÖÁ¾¿ëµµ | Æó»ç | ¿ø¸¶¸í | |||
| »ý»êÀÚ | Tattersfield Ltd | ¼ÒÀ¯ÀÚ | ¼ÒÀçÁö | ||
| Ç÷Åë¼ | New Zealand Stud Book Á¦32±Ç | ÆÐ½ºÆ÷Æ® | |||
| ¼öÀÔÀÏ | 2009-12-17 | °æÁÖ¸¶µî·Ï | 2010-02-07 ~ 2011-09-07 | ¹ø½Äµî·ÏÀÏ | |
| ºÎ¸¶¸í | KEEPER | »ý»ê±¹ | È£ÁÖ | »ý»ê³âµµ | 1997 |
| ¸ð¸¶¸í | SHIDDAT | »ý»ê±¹ | È£ÁÖ | »ý»ê³âµµ | 1998 |
| °æÁÖ¼ºÀû | 17Àü(0/0/1/1/0) | ¼öµæ»ó±Ý | 5,510,000¿ø | ±º(µî±Þ) | ¿Ü4 |
| ¿Ü±¹°æÁÖ | ¼öµæ»ó±Ý | ¿ì½Â°Å¸® | |||