

¸»Á¤º¸ > °³º°¸»Á¤º¸Á¶È¸ > ¸¶Àû»çÇ×
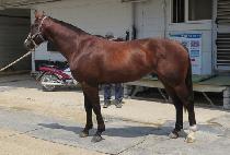
| ¸¶¸í | Àϸ¶·¹ (IL MARE) |
¸¶¹ø | 0039565 | ||
|---|---|---|---|---|---|
| ¸¶¸íºÎ¿©ÀÏ | 2018-07-13 | Ãâ»ýÀÏ | 2016-05-20 (10¼¼) | ||
| ¼ºº° | ¼ö | Åлö | °¥»ö | ||
| ǰÁ¾ | ´õ·¯ºê·¿ | ±¹Á¦¸¶¹ø | KOR16139565 | ||
| »ý»ê±¹ | Çѱ¹ | ¼öÀÔ±¹ | |||
| ÃÖÁ¾¿ëµµ | ½Â¿ë | ¿ø¸¶¸í | |||
| »ý»êÀÚ | (ÁÖ)³ì¿ø¸ñÀå(³ì¿ø¸ñÀå) | ¼ÒÀ¯ÀÚ | ÀÌ»óµ· | ¼ÒÀçÁö | Æ®¸®ÇÃÅ©¶ó¿î |
| Ç÷Åë¼ | ÆÐ½ºÆ÷Æ® | 2017-03-16 | |||
| Ç÷Åëµî·ÏÀÏ | 2017-01-07 | °æÁÖ¸¶µî·Ï | 2018-07-20 ~ 2023-06-19 | ¹ø½Äµî·ÏÀÏ | |
| ºÎ¸¶¸í | À¯·Î½Ç¹ö | »ý»ê±¹ | ¹Ì±¹ | »ý»ê³âµµ | 2001 |
| ¸ð¸¶¸í | ½¬ÀúÇÖµð½Ã | »ý»ê±¹ | ¹Ì±¹ | »ý»ê³âµµ | 2001 |
| °æÁÖ¼ºÀû | 40Àü(2/2/4/3/4) | ¼öµæ»ó±Ý | 92,550,000¿ø | ±º(µî±Þ) | ±¹4 |
| ¿Ü±¹°æÁÖ | ¼öµæ»ó±Ý | ¿ì½Â°Å¸® | |||