

¸»Á¤º¸ > °³º°¸»Á¤º¸Á¶È¸ > ¸¶Àû»çÇ×
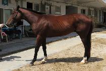
| ¸¶¸í | Æ®¸®ÇÃÄ (TRIPLE KHAN) |
¸¶¹ø | 0041741 | ||
|---|---|---|---|---|---|
| ¸¶¸íºÎ¿©ÀÏ | 2018-08-03 | Ãâ»ýÀÏ | 2016-03-31 | ||
| ¼ºº° | ¼ö | Åлö | °¥»ö | ||
| ǰÁ¾ | ´õ·¯ºê·¿ | ±¹Á¦¸¶¹ø | USA16007451 | ||
| »ý»ê±¹ | ¹Ì±¹ | ¼öÀÔ±¹ | ¹Ì±¹ | ||
| ÃÖÁ¾¿ëµµ | Æó»ç | ¿ø¸¶¸í | MISS GAZON ÀÚ¸¶ | ||
| »ý»êÀÚ | Stone Bridge Farm Llc | ¼ÒÀ¯ÀÚ | ¼ÒÀçÁö | ||
| Ç÷Åë¼ | American Stud Book Á¦32±Ç | ÆÐ½ºÆ÷Æ® | |||
| ¼öÀÔÀÏ | 2018-07-02 | °æÁÖ¸¶µî·Ï | 2018-08-10 ~ 2019-06-05 | ¹ø½Äµî·ÏÀÏ | |
| ºÎ¸¶¸í | FREUD | »ý»ê±¹ | ¹Ì±¹ | »ý»ê³âµµ | 1998 |
| ¸ð¸¶¸í | MISS GAZON | »ý»ê±¹ | ¾ÆÀÏ·£µå | »ý»ê³âµµ | 1998 |
| °æÁÖ¼ºÀû | 5Àü(0/0/2/0/3) | ¼öµæ»ó±Ý | 25,950,000¿ø | ±º(µî±Þ) | ¿Ü4 |
| ¿Ü±¹°æÁÖ | ¼öµæ»ó±Ý | ¿ì½Â°Å¸® | |||