

¸»Á¤º¸ > °³º°¸»Á¤º¸Á¶È¸ > ¸¶Àû»çÇ×
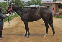
| ¸¶¸í | ¼º½ÇÆÄ¿ö (SEONGSIL POWER) |
¸¶¹ø | 0047198 | ||
|---|---|---|---|---|---|
| ¸¶¸íºÎ¿©ÀÏ | 2023-05-04 | Ãâ»ýÀÏ | 2021-02-11 (5¼¼) | ||
| ¼ºº° | °Å (2023-09-25) | Åлö | °¥»ö | ||
| ǰÁ¾ | ´õ·¯ºê·¿ | ±¹Á¦¸¶¹ø | KOR21147198 | ||
| »ý»ê±¹ | Çѱ¹ | ¼öÀÔ±¹ | |||
| ÃÖÁ¾¿ëµµ | ½Â¿ë | ¿ø¸¶¸í | |||
| »ý»êÀÚ | Æä°¡¼ö½º(Æä°¡¼ö½º) | ¼ÒÀ¯ÀÚ | ±è¼öÁ¤ | ¼ÒÀçÁö | ¹éµÎ½Â¸¶Àå |
| Ç÷Åë¼ | ÆÐ½ºÆ÷Æ® | ||||
| Ç÷Åëµî·ÏÀÏ | 2021-08-27 | °æÁÖ¸¶µî·Ï | 2023-05-13 ~ 2024-04-04 | ¹ø½Äµî·ÏÀÏ | |
| ºÎ¸¶¸í | ¼±´õ¸ðÄ«½Å | »ý»ê±¹ | ¹Ì±¹ | »ý»ê³âµµ | 2009 |
| ¸ð¸¶¸í | ¿¤½ÃÁî¼Û | »ý»ê±¹ | ij³ª´Ù | »ý»ê³âµµ | 2012 |
| °æÁÖ¼ºÀû | 8Àü(0/0/0/0/0) | ¼öµæ»ó±Ý | 0¿ø | ±º(µî±Þ) | ±¹6 |
| ¿Ü±¹°æÁÖ | ¼öµæ»ó±Ý | ¿ì½Â°Å¸® | |||