
Individual Details
Individual Details
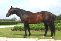
| Horse Name | HAWK WING | Registration Number |
0023957 | ||
|---|---|---|---|---|---|
| Foaling Date | 15-03-1999 | Sex | MALE | ||
| Color | Bay | Breed | Thoroughbred | ||
| Life Number | USA99004171 | Country of Foaling |
U.S.A. | ||
| Exporting Country |
Ireland | Imported Date | 29-12-2008 | ||
| Original Name | HAWK WING | Breeder | Hill 'N' Dale Farm | ||
| Owner | Stud Book Reference |
American Stud Book VOLUME 37 | |||
| Foal Registration Date |
Racehorse Registration |
~ | Breeding Registration Date |
24-01-2009 | |
| Sire Name | Woodman | Country of Foaling |
U.S.A. | Foaling Year | 1983 |
| Dam Name | La Lorgnette | Country of Foaling |
Canada | Foaling Year | 1982 |
| Race Records |
Total Earning | ||||
| Foreign Race Records |
12 Runs 5 Wins 5 Seconds | Total Earning | 1,610,604 USD | ||