
Individual Details
Individual Details
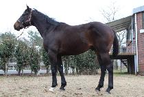
| Horse Name | Registration Number |
0030430 | |||
|---|---|---|---|---|---|
| Foaling Date | 04-05-2011 | Sex | GELDING | ||
| Color | Bay | Breed | Thoroughbred | ||
| Life Number | KOR11130430 | Country of Foaling |
Korea | ||
| Exporting Country |
Imported Date | ||||
| Original Name | Breeder | Jung Yung Ja | |||
| Owner | Stud Book Reference |
||||
| Foal Registration Date |
01-07-2012 | Racehorse Registration |
~ | Breeding Registration Date |
|
| Sire Name | Forest Camp | Country of Foaling |
U.S.A. | Foaling Year | 1997 |
| Dam Name | Haeto | Country of Foaling |
U.S.A. | Foaling Year | 2003 |
| Race Records |
Total Earning | ||||
| Foreign Race Records |
Total Earning | ||||